翻新带有车库的有条件阁楼(凤凰城,AZ)
几年前,我们在亚利桑那州凤凰城购买了一栋20年历史的单层生产住宅,空气处理器、诱导燃烧炉和管道系统都位于阁楼上。通风的屋顶覆盖着低调的水泥瓦和O-Hagin屋顶通风口。我们最近进行了一次能源审计,在CFM50 = 2100和估计R-23阁楼审核员建议更多的绝缘和升级我们的HVAC和管道系统。但我们宁愿建一个有条件的阁楼。
家里的衬垫是原始的,卷曲的,易碎的,所以这是一个伟大的时间重新屋顶(称为移除和更换),并创建一个条件阁楼。我们计划拆除并密封O 'Hagin通风口,用钛UDL50膜替换原来的衬垫,并在屋顶甲板上方添加4.5″贴面聚乙烯薄膜。随着箔面对一个气隙,我们计算我们可能达到R-30。接下来,我们将从阁楼地板上移除吹制的玻璃纤维,并使用聚苯乙烯板和闭孔喷雾泡沫从阁楼内部将房子周围的外部顶板密封起来。我们还计划封闭房子和附属车库之间的边界。接下来的步骤包括更换原有的HVAC和管道系统,在我们拆除吹出的绝缘材料后,以及在屋顶甲板的下面增加更多的绝缘材料。
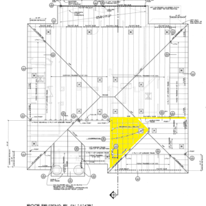
我们有一个附属的车库(见屋顶框架图中的黄色区域)。突出显示的区域表明OSB屋顶和附加车库的墙壁实际上是封闭在家庭的更大的阁楼内。当我们在考虑我们的计划时,我们意识到我们似乎要把整个车库搬到我们的空调空间。哦!
有什么方法我们可以有效地分离和封闭附加车库阁楼和我们的条件阁楼?我们在考虑在车库阁楼的屋顶上涂上一层屋顶膜然后在上面涂上闭合细胞喷雾泡沫。如果您有任何建议,我将不胜感激。



回复
屋顶结构计划
对我来说很难想象三维空间从你提供的信息,但如果概念简单:如果你想排除车库空间条件的家里,你需要绝缘屏障(及其相邻空气屏障)跟随你需要建立的边界。
这通常意味着你需要有框架的墙延伸到阁楼;这些框架墙划定了非条件车库和条件住宅之间的边界。(隔板从阁楼“地板”或车库墙的顶板一直延伸到屋顶护套的底面。)
一旦这些阁楼隔板被框起来,隔离隔板。确保空气屏障连续,绝缘连续。
——马丁Holladay